home | photosimulation & design viz | heavy rail & rail-served facilities | market lead railroad over I-70

« back

Market Lead Railroad over I-70 DEIS 3D Simulations

CDOT, Denver, Colorado

Interstate 70 is the primary east west artery through the Denver metropolitan area. Many of its bridges and viaducts dated to the early interstate era and were in need of upgrade and replacement. A large portion of I-70 just east of I-25 was elevated on one of these aging viaducts badly in need of structural and capacity improvements. Half of this viaduct had been rebuilt by an earlier project. Major questions remained as to exactly how to replace the second half. The precise alignment was one these questions

The Colorado Department of Transportation (CDOT) conducted the I-70 Environmental Impact Study (EIS) to determine the answers. POITRA Visual was selected to provide design visualization services and a comprehensive public information website for the project.*

After producing serveral photo-simulations to support the view impact study POITRA was tasked with creating a 3D model of a two mile segment of I-70 that would illustrate the Supplemental Draft Environmental Impact Statement (SDEIS) preferred alternative. It is known as the partial cover lowered alternative.

POITRA 3D Model railroad equipment
POITRA 3D Model railroad equipment
POITRA 3D Model railroad equipment
POITRA 3D Model railroad equipment
POITRA 3D Model railroad equipment
POITRA 3D Model railroad equipment
POITRA 3D Model railroad equipment
POITRA 3D Model railroad equipment
POITRA 3D Model railroad equipment

Take a closer look! POITRA uses a large library of its own stock 3D Model railroad equipment for use on proposed transportation projects.

POITRA often creates custom transportation models at no cost to the project.

3D Animations | Click thumbnail images below to view the 3d model animations:


arrow up
1

arrow up
2

1. 3D Animation of Proposed Railroad Overcrossing: Using an animated camera to follow a locomotive spotting hopper cars while taffic on I-70 flows by and 46th Avenue traffic is held at railroad crossing gates.

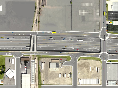
The SDEIS preferred alternative removed the existing viaduct and set I-70 below grade. A large cover over the highway provided space for a public park to help connect the neighborhoods. Numerous street and rail crossings spanned the depressed highway. The model was the primary tool used to easily communicate the complex multi-level design concept to the public.

The model included all the residential, commercial and industrial properties within one block of either side of I-70, the complete highway system of four interchanges, three overpasses and the cover, two rail crossings, and two pedestrian crossings.

left quotation markSince the commercial and industrial buildings served as great orientation landmarks we paid a lot of attention to their detailing.”

M.P., POITRA Visual
Visual Simulations Project Manager

Since the public needed to quickly recognize the locations within the model a fairly high level of detail was called for. POITRA included fencing, retaining walls, curbs, traffic signals, soundwalls, barriers, walks, islands, medians, traffic, pavement markings and vegitation.

POITRA modelers laid out the project from concept level plans. Profile grades of I-70 and the interchange ramps as well as connections to cross streets had to be carefully managed to ensure that all vertical clearences were correct and the roadway surfaces met up as planned. Changes to the design during construction of the model were cause for major concerns.

POITRA's extensive collection of stock 3D transportation models, such as locomotives and rolling stock, trucks and automobles and even houses and trees were used to populate the model.

The Market Lead Railroad is a branch of the Burlington Northern Santa Fe Railroad system. It is designed to cross the I-70 depression on two single track concrete structures. Near I-70 it serves the ManaPro and TexSand facilities to the south and it has a small staging yard to the north. The 46th Avenue Frontage Road remains at grade.

Once the model was completed POITRA modelers rendered a large series still views for each major node ie: intersections and overcrossings. A series of animations were also rendered for each node which included moving traffic. The animations were created in High Definition (HD) and at a 15 Frames Per Second (FPS) a standard frame rate for web publication.

POITRA created an interactive tour of the model on the I-70 East EIS public website using a 3D map navigation system for each node that include still views and animations chosen to best describe the project.

The model tour was published just prior to the SDEIS public hearings. end of article

« BACK

Take a closer look! The highly skilled Artists at POITRA Visual build and animate your design concept in 3D. (click to magnify)