home | photosimulation & design viz | detention & drainage | colorado boulevard detention ponds

« back

Colorado Boulevard Detention Ponds 3D Simulations

CDOT, Denver, Colorado

Interstate 70 is the primary east west artery through the Denver metropolitan area. A large portion of I-70 just east of I-25 was elevated on an aging early interstate era viaduct badly in need of structural and capacity improvements. Half of this viaduct had been rebuilt by an earlier project. Major questions remained as to exactly how to replace the second half.

The Colorado Department of Transportation (CDOT) conducted the I-70 East Environmental Impact Study (EIS) to determine the answers. POITRA Visual was selected to provide design visualization services and a comprehensive public information website for the study.*

POITRA was asked to create a 3D model of the two mile segment of I-70 that would illustrate the most significant section of the preferred alternative. Images and animations were published for the Draft Environmental Impact Statement (DEIS) and updated for publication with the Final Environmental Impact Statement (FEIS).

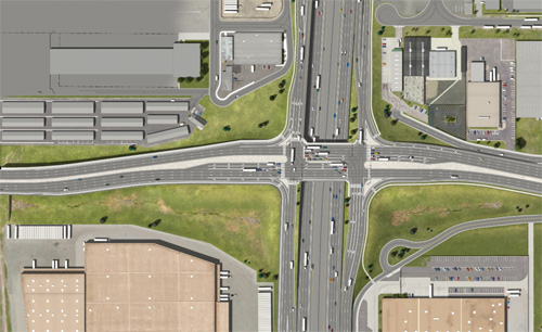
POITRA 3D Model Trucks and Autos
POITRA 3D Model Trucks and Autos
POITRA 3D Model Trucks and Autos">
POITRA 3D Model Trucks and Autos
POITRA 3D Model Trucks and Autos
POITRA 3D Model Trucks and Autos
POITRA 3D Model Trucks and Autos
POITRA 3D Model Trucks and Autos
POITRA 3D Model Trucks and Autos

Take a closer look! POITRA uses a large library of it's own stock 3D Model trucks and automobiles for use on proposed transportation projects.

POITRA often creates custom transportation models at no cost to the project.

1. 3D Animation of the Colorado Boulevard Detention Ponds: An animated camera flys from the northern pond to the southern pond. Water is surcharged from the south to the north by a culvert below I-70 and area inlets which equalizes water levels between the two ponds.

2. 3D Animation of the I-70 Corridor: An animated camera follows I-70 from Brighton Boulevard to Dahlia Street placing the detention ponds and drainage systems, located at Brighton Boulevard, York Street, Vasquez Boulevard/Steele Street and Colorado Boulevard, in context with the rest of the transportation project.

3D Animations

Click thumbnail images at right to toggle the animated 3d model visualizations:


As in the Supplemental DEIS the Final EIS preferred alternative removed the existing viaduct and lowered I-70 below grade. A large cover over the highway provided space for a public park to help connect the neighborhoods. Numerous street and rail crossings spanned the lowered highway. The 3D model was the primary tool used to easily communicate the complex multi-level design concept to the public.

The 3D model included all the residential, commercial and industrial properties within one block of either side of I-70, the FEIS 3D Model included five interchanges, four overpasses and the cover, two rail crossings and five large detention basins.

left quotation markOur animators were excited to see that the updates for the FEIS included a drainage solution, because it might give them a rare chance to depict a bit of reflecting, pouring and flowing water.”

M.P., POITRA Visual
Visual Simulations Project Manager

Since the public needed to quickly recognize the locations within the 3D model a fairly high level of detail was called for. POITRA included fencing, retaining walls, soundwalls, curbs, traffic signals, soundwalls, barriers, walks, islands, medians, traffic, pavement markings and vegetation.

POITRA modelers laid out the project from concept level plans. Profile grades of I-70 and the interchange ramps as well as connections to cross streets had to be carefully managed to ensure that all vertical clearances were correct and the roadway surfaces met up as planned. Changes to the design during construction of the 3D model were cause for major concerns.

The updates during the FEIS added a complete stormwater drainage and detention system which needed to be illustrated. The system included large detention ponds, pipe bridges, culverts, headwalls and area drain inlets.

Once the FEIS 3D model updates were complete POITRA modelers rendered a large series still views for each major node: interchanges, overcrossings and the stormwater system. A series of animations were also rendered for each node which included moving traffic and even flowing water. The animations were created in High Definition (HD).

POITRA created an interactive tour of the 3D model on the I-70 East EIS public website using a 3D map navigation system for each node that included still views and animations chosen to best describe the project (see: www.i-70east.com/viz).

The 3D model tour was published just prior to the I-70 East SDEIS public hearings and republished for the FEIS Public Hearings. end of article

« BACK

Take a closer look! The highly skilled Artists at POITRA Visual build and animate your design concept in 3D. (click to magnify)